Melissa Fırtınası: Karayipler'de Yaşam Kayıpları 44'e Ulaştı
 
															
															
							
Melissa Kasırgası Karayipler'de Yıkıma Neden Oldu
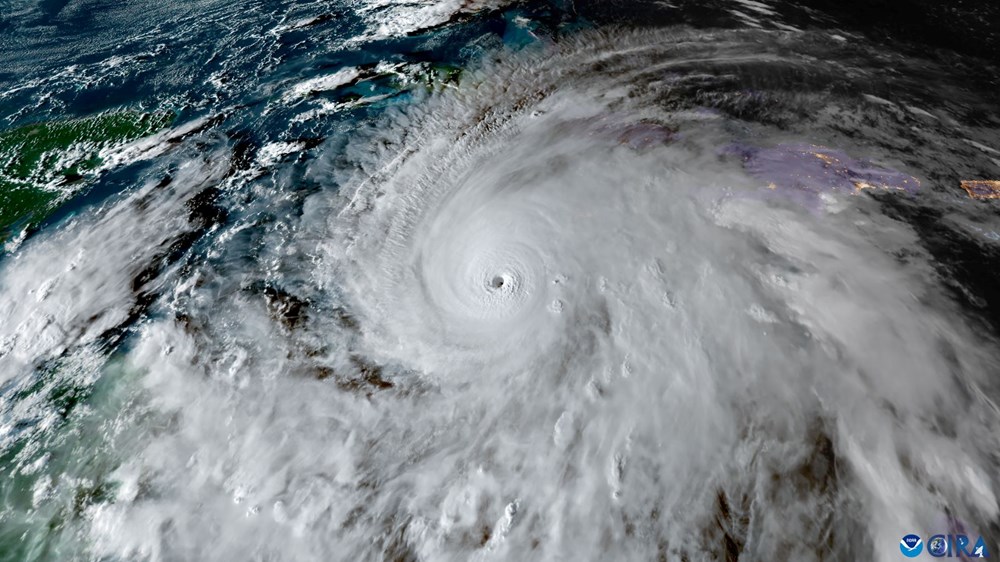
Kategori 5 şiddetiyle Karayipler'i adeta bir harabeye çeviren Melissa Kasırgası, evlerin çatılarının uçmasına, ağaçların kökünden sökülmesine ve dev kayaların yolları tıkamasına neden oldu. Ayrıca, bu felaket sellere yol açtı.

Melissa, Salı günü Jamaika'nın güneybatısına Kategori 5 seviyesinde ulaşarak, ülke tarihinde doğrudan karaya vuran en güçlü kasırga unvanını kazandı. Bu, 1988 yılından bu yana Jamaika'yı vuran ilk büyük kasırga olarak kayıtlara geçti.

AccuWeather meteorologları, Melissa'nın karaya vurduğu andaki gücünün Atlantik tarihindeki en güçlü ikinci kasırga ile eşit seviyede olduğunu belirtti.

Jamaika Enformasyon Bakanı, kasırga nedeniyle en az 19 kişinin yaşamını yitirdiğini ve arama-kurtarma faaliyetlerinin devam ettiğini açıkladı. Fırtına, yüz binlerce kişiyi de elektriksiz bıraktı. Jamaika ordusu, yardım ve kurtarma çalışmalarına destek sağlamak üzere yedek personeli göreve çağırdı.

Haiti, doğrudan bir darbe almamasına rağmen, günler süren yoğun yağışlar nedeniyle en az 25 kişinin ölümüne yol açtığı bildirildi. Bu ölümlerin çoğu, güneydeki Petit-Goave kasabasında bir nehrin taşması sonucu gerçekleşti.

Melissa, Küba'nın doğusunu da etkisi altına aldı. Yaklaşık 735 bin kişi tahliye edildi, ancak Perşembe itibarıyla ölüm bildirilmedi. Yine de çok sayıda ev ve tarım alanı ciddi hasar gördü.



 
				
				